Freeport, Trinidad Central, Trinidad And Tobago
Price $6,500,000 TTD
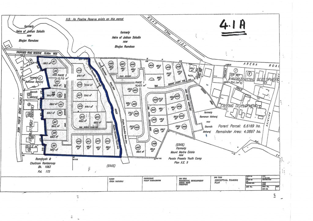
Arena Road, Freeport – Prime Development Opportunity
An exceptional opportunity to acquire 4.1 acres (178,596 sq. ft.) of freehold land in a rapidly developing area, ideal for residential development or long-term investment.
This well-positioned parcel has an EMA application currently in progress, with Town & Country approval being resubmitted. Access to the property is available via La Cuesa Road, offering convenience and connectivity.
Located in a high-growth corridor, this property presents significant potential for developers looking to meet increasing demand for residential housing. Whether you're ready to build or looking to secure a promising landholding for future appreciation, this is a chance to turn vision into reality.
Property Posted : 553
Paria Main Road – Flat land for sale with private beach access, water and electricity, Town and...
March 8, 2022
Singh Trace – Your New Beginning Starts Here!
Set on 5,000 sq. ft. o...
February 1, 2023
Esperanza Estate, St. Joseph
Where Natural Beauty and Future Possibilit...
May 26, 2025
Frederick Street - Prime Commercial Opportunity in Port of Spain
Located in ...
May 28, 2025
This commercial single storey property on Upper Charlotte Street in Port of Spain offer...
November 12, 2024
"Elevated Elegance — Luxury Living at The Renaissance"
This exquisit...
October 18, 2024
Land for Sale – Glamorgan, Tobago
A Slice of Island Potential Awaits...
May 23, 2025
Peaceful Living Starts Here - Prime Residential Freehold Lots for Sale in To...
June 13, 2025
Beautifully updated property situated in a quiet central area of Blue Range, you will be delighte...
May 27, 2021
Tucker Real Estate Services Company @2020
